年が関係するのでしょうか?
じんも脂漏性湿疹が出来るようになりました。
こっちおいで。
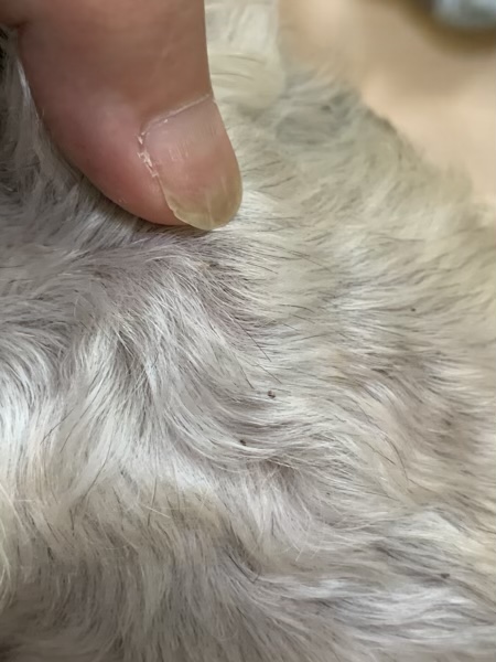
こんなのです。
と言っても、ぶつぶつは毛の中なので、
なかなか見えないですが。
この、黒く点々となっているのがカサブタです。
なかなか洗うのが難しいので、
我が家ではこれを使っています。
こういう時に簡単に清潔に出来るのは助かります。
さて、いつ落ち着くかなぁ。
始まったばかりですが、夏の終わりが待ち遠しいです。(^^:)
ちなみにこの方。
あれだけ日向ぼっこをしても、
じんより年上でも、一切出てこないんですよね。
男の子の方がなりやすいのかなぁ?






コメント